Local Service Overview

Get Ants Extermination Service in Anna, TX

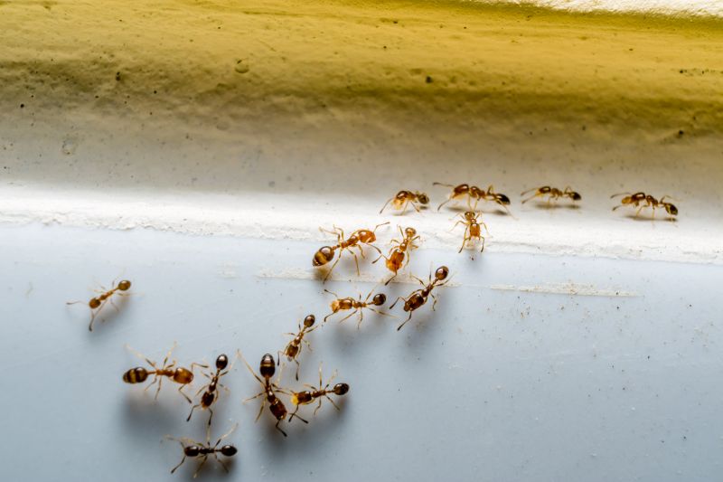
Ants extermination services for property owners in Anna, TX and nearby areas address ant infestations, eliminate colonies, and handle residential and commercial pest control projects.

Anna, TX

Ants extermination services are essential for property owners in Anna, TX seeking to maintain a comfortable and safe living or working environment. By effectively managing ant populations, property owners can reduce the risk of infestations that may cause damage to structures, contaminate food supplies, or create health concerns. Proper extermination helps preserve the functionality of a property by preventing disruptions caused by pests, ensuring that homes and businesses remain comfortable and operational.

Choosing professional ant extermination services offers benefits such as enhanced curb appeal and reduced maintenance needs. A pest-free exterior contributes to a tidy, well-maintained appearance, which can improve a property’s overall value. Additionally, regular pest control efforts help prevent future infestations, decreasing the likelihood of ongoing issues and the need for frequent treatments. This proactive approach supports long-term durability and peace of mind for property owners in the area.

Get Ants Extermination Service Quotes

  • Ants Infestation Control - needed when ants invade kitchens, pantries, or other indoor spaces in Anna, TX and surrounding areas.
  • Outdoor Ant Extermination - required to eliminate ant colonies around yards, gardens, or building foundations.
  • Spring and Summer Pest Management - essential during warmer months when ant activity increases in nearby communities.
  • Persistent Ant Problems - addressed when ants repeatedly return despite initial treatments in residential or commercial properties.
  • Preventative Ant Treatments - used to protect properties from future ant invasions in Anna, TX and neighboring regions.

Get Ants Extermination Service Quotes

Ants Extermination Service
Ants Extermination Service
Ants Extermination Service

Ants extermination services involve identifying and eliminating ant infestations within residential, commercial, or industrial properties. These services typically include a thorough inspection to determine the extent of the ant problem, followed by targeted treatment methods designed to eradicate the colonies. Exterminators may use a combination of baiting systems, residual sprays, or dusts to ensure effective control. The goal is to remove ants safely and efficiently, reducing the likelihood of future invasions and preventing damage or contamination caused by these pests.

Ant infestations can pose various problems for property owners. Ants can contaminate food supplies, create unsightly trails, and in some cases, cause structural damage, especially if they are carpenter ants that burrow into wood. Additionally, certain species may bite or sting, leading to discomfort or allergic reactions. Extermination services help address these issues by eliminating the pests at their source, thereby minimizing health risks and property damage. Proper treatment also helps prevent recurring infestations that can be difficult to control once established.

Properties that commonly utilize ants extermination services include homes, apartment complexes, restaurants, grocery stores, and other commercial facilities. Residential properties often seek treatment to protect food supplies and maintain hygiene, while businesses in the food industry prioritize pest control to meet health standards. Warehouses, offices, and retail outlets may also require pest management to prevent infestations from disrupting operations or damaging inventory. No matter the type of property, professional exterminators tailor their approaches to suit the specific needs and severity of each ant problem.

Professional ants extermination services are essential for effectively managing infestations and maintaining pest-free environments. Service providers typically offer customized treatment plans based on the property's size, location, and the ant species involved. They focus on identifying entry points and nesting sites, applying appropriate treatment methods, and providing advice on preventative measures. By working with local pest control experts, property owners can address ant issues comprehensively, ensuring a cleaner, safer, and more comfortable space.

The overview below groups typical Ants Extermination Service projects into broad ranges so you can see how smaller, mid-sized, and larger jobs often compare in Anna, TX.

In many markets, a large share of routine jobs stays in the lower and middle ranges, while only a smaller percentage of projects moves into the highest bands when the work is more complex or site conditions are harder than average.

Initial Inspection - The cost for a basic ant inspection typically ranges from $50 to $150, depending on the property's size and location. This fee often covers a thorough assessment to identify ant activity and entry points.

Perimeter Treatment - Applying ant control treatments around the exterior of a home usually costs between $100 and $300. The price varies based on the extent of the area and the type of treatment used.

Interior Treatment - Interior ant extermination services generally range from $75 to $200 per visit, depending on the severity of infestation and the number of rooms involved.

Ongoing Maintenance - Follow-up treatments or maintenance plans can cost between $50 and $150 per visit, with prices influenced by the frequency of visits and the size of the property.

Actual totals will depend on details like access to the work area, the scope of the project, and the materials selected, so use these as general starting points rather than exact figures.

Get an Ants Extermination Service Quote

Ants Extermination - Local pest control providers offer targeted treatments to eliminate ant colonies and prevent future infestations in residential and commercial properties.

Ants Inspection Services - Professionals conduct thorough inspections to identify ant entry points, nesting sites, and the extent of an infestation for effective removal strategies.

Ants Prevention Services - Service providers implement barrier treatments and advise on sanitation practices to reduce the likelihood of ant re-infestation.

Ants Baiting Solutions - Local pros utilize baiting systems to attract and eliminate ants at their source, ensuring long-term control.

Ants Removal Services - Experts employ specialized techniques to safely and efficiently remove ant colonies from homes and businesses.

Ants Emergency Pest Control - Immediate response services are available to address sudden ant infestations that require quick intervention.

Ants Extermination Service

When selecting a professional for ant extermination services, it’s important to consider the experience and background of local contractors. Many service providers have established track records within communities like Anna, TX, and surrounding areas, often showcasing years of expertise in pest control solutions. Homeowners are encouraged to review the history of each provider, including the scope of their work and familiarity with local ant species, to ensure they are well-versed in handling specific pest challenges common to the region.

Clear communication and well-defined expectations are vital when working with a pest control professional. Reputable local pros typically provide detailed information about their approach, the methods they use, and what homeowners can anticipate during and after treatment. This transparency helps set realistic expectations and fosters a smoother service experience, allowing homeowners to understand the process without ambiguity.

References and reputation are key indicators of a reliable ant extermination service. Pros with positive feedback from previous clients often demonstrate consistent quality and professionalism. Homeowners can seek out local providers with a history of satisfied customers, which may be reflected through testimonials or community reputation. Establishing open lines of communication with prospective contractors can also help ensure that questions are answered thoroughly, and that the chosen professional aligns with the homeowner’s needs and preferences.

Get an Ants Extermination Service Quote

Property owners in Anna, TX use Ants Extermination Service services for practical projects around their homes and businesses. The sections below highlight everyday jobs and straightforward project options.

Ants Extermination Service
Ants Extermination Service

Ants extermination services are often sought by property owners in Anna, TX, facing common pest issues that disrupt daily living. When ants invade kitchens, pantries, or outdoor spaces, residents look for professional assistance to effectively eliminate the colonies and prevent future infestations. Local service providers can assess the extent of the problem, identify the ant species involved, and implement targeted treatment options to restore comfort and hygiene.

Property owners may also seek ants extermination due to recurring sightings or the presence of ant trails around their homes or businesses. Such issues can be caused by factors like food spills, accessible entry points, or nearby nests. Engaging with local pest control professionals helps address these concerns efficiently, ensuring that ant problems are managed and do not lead to larger property or health-related issues.

Get an Ants Extermination Service Quote

How do ant extermination services work? Ant extermination services typically involve inspecting the property to identify ant entry points and nests, followed by targeted treatments using baits, sprays, or dusts to eliminate the colony.

Are ant treatments safe for pets and children? Most professional ant extermination methods are designed to be safe when applied by trained technicians, but it is recommended to follow any specific safety instructions provided by the service provider.

How long does an ant extermination treatment last? The duration of effectiveness varies depending on the treatment method and ant species, but many treatments provide protection for several weeks to months.

Will I need multiple treatments to control an ant infestation? Some ant infestations may require multiple visits or follow-up treatments to fully eliminate the colony, especially if the nest is difficult to locate or access.

How can I prevent future ant problems? Preventative measures include keeping the property clean, sealing entry points, and removing sources of food and water that attract ants, with guidance from local service providers.

Ants Extermination Techniques - Local service providers can utilize various methods such as baiting, trapping, and residual treatments to address ant infestations effectively.

Identifying Ant Species - Professionals can help determine the specific type of ants present to recommend the most appropriate extermination approach.

Preventative Ant Control - Experts offer advice and services to help prevent future ant problems through barrier treatments and sanitation tips.

Customized Pest Management Plans - Service providers can develop tailored strategies based on the severity of the ant issue and property layout.

Ants Extermination Service

Considering Ants Extermination Service for a property in Anna, TX? The sections above highlight common project types, practical options, and details that often shape the scope of work.

When you are ready, use the quote form to share a few details about your project. Local pros can review the basics and respond with options that match what you have in mind.

Get an Ants Extermination Service Quote

Ants Extermination Quotes

Our Trusted Partners
Cantu Pest Control
Hawx Pest Control