Local Service Overview

Get Ants Extermination Service in Gunter, TX

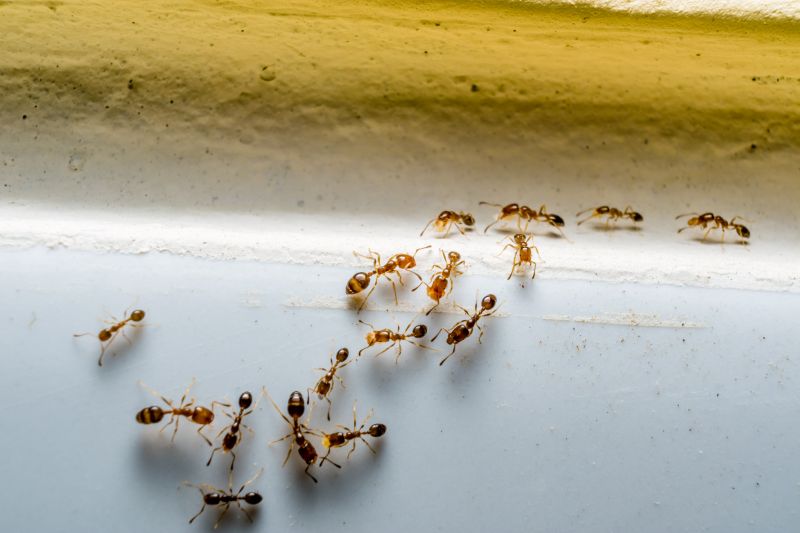
Ants extermination services for property owners in Gunter, TX, and nearby areas address ant infestations, prevent future invasions, and handle residential and commercial pest control projects.

Gunter, TX

Ants extermination services provide property owners in Gunter, TX with effective solutions to manage and eliminate ant infestations. Addressing these pests helps create a more comfortable living or working environment by preventing unwanted intrusions that can disrupt daily routines. Additionally, professional extermination can enhance safety by reducing the risk of ant-related bites or the potential spread of bacteria, contributing to a healthier space for residents and visitors alike.

Choosing expert ant control services also supports the durability and functionality of a property. By controlling ant populations, property owners can reduce the likelihood of structural damage caused by certain species and minimize ongoing maintenance needs. Furthermore, a well-maintained exterior free of ant activity can boost curb appeal, making a property more attractive and inviting to guests, clients, or potential buyers.

Get Ants Extermination Service Quotes

  • Ants Extermination - Residential properties experiencing ant infestations in Gunter, TX may require professional extermination services.
  • Ants Extermination - Commercial establishments facing persistent ant problems in nearby areas might need expert pest control solutions.
  • Ants Extermination - New construction sites or renovations in local neighborhoods can benefit from preventative ant treatment services.
  • Ants Extermination - Outdoor spaces such as yards and gardens in Gunter, TX may need targeted ant control to protect landscaping.
  • Ants Extermination - Emergency situations involving large ant swarms in residential or commercial settings often call for immediate professional intervention.

Get Ants Extermination Service Quotes

Ants Extermination Service
Ants Extermination Service
Ants Extermination Service

Ants extermination services involve professional treatment methods designed to eliminate ant colonies and prevent future infestations. Service providers typically conduct thorough inspections to identify the source of the ant problem, including entry points and nesting sites within or around a property. Once the infestation is assessed, they apply targeted treatments such as baiting systems, residual sprays, or dusts to eradicate ants at various stages of their lifecycle. These services aim to reduce ant activity quickly and effectively, helping to restore comfort and hygiene in affected areas.

Ant infestations can cause a range of problems for property owners, including damage to structures, contamination of food supplies, and general nuisance. Certain ant species, like fire ants or carpenter ants, are known for their aggressive behavior or destructive tendencies, making professional intervention particularly important. Ant extermination services also help mitigate the risk of ants spreading bacteria or contaminating food sources, which is especially relevant in kitchens, food storage areas, and commercial spaces. Addressing an ant problem promptly can prevent more extensive infestations and potential property damage.

Residential properties often seek ant extermination services to maintain a clean and comfortable living environment. Homes with gardens, patios, or nearby wooded areas are more prone to ant invasions and may require regular treatments to keep them at bay. Commercial properties, such as restaurants, grocery stores, or warehouses, also frequently utilize these services to comply with health standards and ensure pest-free operations. Additionally, multi-unit housing complexes and apartment buildings may need ongoing pest management to prevent ants from migrating between units and affecting multiple tenants.

Professional ant extermination services are tailored to the specific needs of each property type and infestation severity. Service providers use a combination of inspection, targeted treatments, and preventative measures to control ant populations effectively. Whether for a single-family home, a commercial establishment, or a multi-unit complex, these services are designed to help property owners manage ant problems efficiently. Contacting local pest control professionals can provide the expertise needed to address ant issues and maintain a pest-free environment.

The overview below groups typical Ants Extermination Service projects into broad ranges so you can see how smaller, mid-sized, and larger jobs often compare in Gunter, TX.

In many markets, a large share of routine jobs stays in the lower and middle ranges, while only a smaller percentage of projects moves into the highest bands when the work is more complex or site conditions are harder than average.

Initial Inspection - The cost for an ant inspection typically ranges from $50 to $150, depending on the property's size and complexity. This fee covers a thorough assessment to identify ant activity and entry points. Local service providers may include inspection as part of a larger treatment package.

Basic Treatment - Standard ant extermination services usually cost between $100 and $300 for a single treatment. Prices vary based on the extent of the infestation and the treatment method used. Some providers may charge more for additional visits or advanced treatments.

Ongoing Prevention - Preventive services or quarterly treatments can range from $200 to $500 annually. These plans aim to maintain ant-free conditions and typically include regular inspections and targeted treatments. Costs depend on property size and specific service plans.

Specialized Extermination - For severe or persistent ant problems, costs can range from $300 to $700 or more. Such services may involve multiple treatments, baiting systems, or targeted applications to eliminate resistant colonies. Local pros can provide tailored estimates based on the situation.

Actual totals will depend on details like access to the work area, the scope of the project, and the materials selected, so use these as general starting points rather than exact figures.

Get an Ants Extermination Service Quote

Ants Extermination - Local pest control providers offer specialized services to eliminate ant infestations in residential and commercial properties.

Ant Control for Homes - Pros can assess and treat indoor and outdoor areas to prevent ant colonies from establishing inside living spaces.

Commercial Ant Extermination - Businesses can find experts equipped to handle ant problems that may disrupt operations or compromise hygiene standards.

Kitchen and Pantry Ant Removal - Service providers focus on targeting ants in food preparation areas to reduce contamination and recurring issues.

Outdoor Ant Barrier Treatments - Professionals apply treatments around the perimeter of properties to create a barrier against ant entry.

Ant Infestation Prevention - Local pros offer strategies and treatments to prevent future ant invasions and maintain pest-free environments.

Ants Extermination Service

When selecting a professional for ant extermination services, it is important to consider the experience and reputation of local contractors. Pros with a proven track record in ant control often have extensive knowledge of common pests in areas like Gunter, TX, and surrounding communities. Reputable service providers are typically recognized within the local industry and may have a history of successful treatments, which can be an indicator of their capability to address specific ant issues effectively.

Clear communication and well-defined expectations are essential when working with a pest control professional. Pros who are transparent about their methods and what homeowners can expect during and after treatment help foster trust and ensure that the process aligns with homeowner needs. It is advisable to seek out providers who are willing to discuss their approach thoroughly and answer any questions, which can contribute to a smoother service experience.

The availability of reputable references can also assist in evaluating local ant extermination providers. Recommendations from previous clients or reviews from trusted sources can offer insights into a contractor’s reliability and quality of work. Since this platform connects users with local service providers rather than performing the work directly, it is beneficial to contact multiple pros to compare their experience, communication style, and references before making a decision.

Get an Ants Extermination Service Quote

Property owners in Gunter, TX use Ants Extermination Service services for practical projects around their homes and businesses. The sections below highlight everyday jobs and straightforward project options.

Ants Extermination Service
Ants Extermination Service

Ants extermination services are often sought by property owners in Gunter, TX, dealing with common household ant invasions. These pests can appear suddenly, especially during warmer months, and may enter homes or businesses in search of food or water. Local service providers can assist with identifying the source of the ant problem and implementing targeted treatments to eliminate colonies and prevent future infestations.

Property owners might also look for ant extermination services when noticing signs of ongoing activity, such as trails or ant mounds around the property. In addition to residential spaces, commercial properties may require professional assistance to maintain a pest-free environment. Local pros can offer solutions tailored to the specific needs of each property, helping to manage ant issues efficiently and effectively.

Get an Ants Extermination Service Quote

How do ant extermination services work? Ant extermination services typically involve inspecting the property to identify ant colonies, applying targeted treatments to eliminate ants and their nests, and providing recommendations to prevent future infestations.

Are ant extermination treatments safe for pets and children? Most professional ant extermination methods are designed to be safe when applied by experienced service providers. It is advisable to discuss any concerns with the local pros before treatment.

How long does an ant extermination treatment usually last? The effectiveness of ant extermination services can vary, but many treatments provide long-lasting results. Follow-up treatments may be recommended by local providers if needed.

Can ants return after treatment? While treatments are effective at eliminating existing colonies, ants can return if new food sources or entry points are available. Ongoing prevention measures are often advised by local exterminators.

How can I prevent future ant infestations? Local pest control professionals often recommend sealing entry points, removing food and water sources, and maintaining clean surroundings to help prevent future ant problems.

Ants Extermination Solutions - Local pest control providers offer targeted treatments to eliminate ant colonies and prevent future invasions.

Inspection and Identification - Professionals can assess property conditions to identify ant species and determine the most effective extermination methods.

Barrier Treatments - Service providers apply barriers around structures to deter ants from entering living or working spaces.

Ongoing Monitoring and Prevention - Experts can establish ongoing monitoring plans to maintain ant-free environments and address new infestations promptly.

Ants Extermination Service

Considering Ants Extermination Service for a property in Gunter, TX? The sections above highlight common project types, practical options, and details that often shape the scope of work.

When you are ready, use the quote form to share a few details about your project. Local pros can review the basics and respond with options that match what you have in mind.

Get an Ants Extermination Service Quote

Ants Extermination Quotes

Our Trusted Partners
Cantu Pest Control
Hawx Pest Control