Local Service Overview

Get Ants Extermination Service in Pottsboro, TX

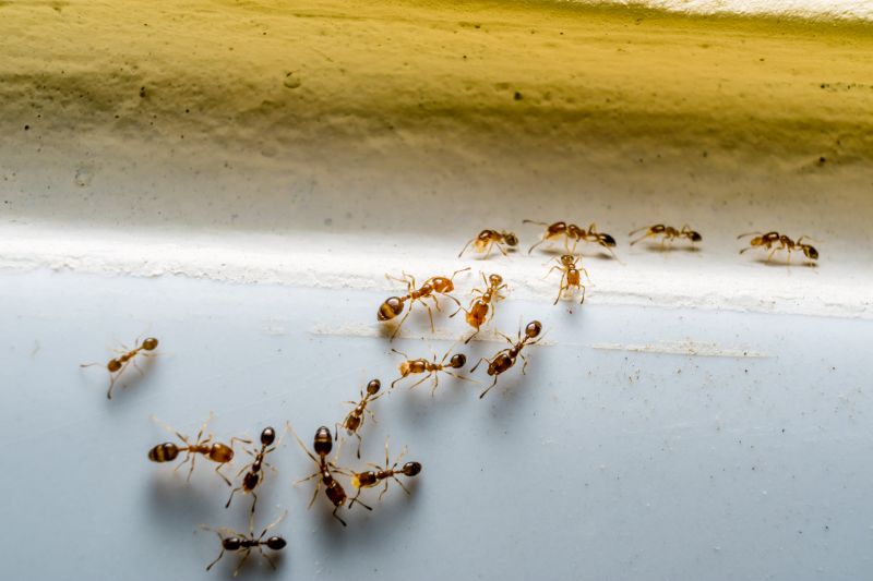
Ants extermination services for property owners in Pottsboro, TX, and nearby areas address ant infestations, prevention, and removal for residential and commercial properties.

Pottsboro, TX

Ants extermination services are essential for property owners in Pottsboro, TX seeking to maintain a comfortable and safe living or working environment. Effective ant control helps prevent infestations that can disrupt daily routines, damage structures, or contaminate food supplies. By addressing ant problems promptly, property owners can enjoy improved functionality and peace of mind, knowing their spaces are protected from unwanted pests that can cause inconvenience and potential health concerns.

Choosing professional ant extermination services offers benefits such as enhanced durability of property features and reduced ongoing maintenance needs. Proper pest control can help preserve the integrity of structures by preventing damage caused by ant colonies, ultimately boosting curb appeal and property value. Reliable service providers in Pottsboro focus on delivering thorough, effective solutions that contribute to a safer, more comfortable environment for residents and tenants alike.

Get Ants Extermination Service Quotes

  • Ant Infestation Removal - needed when ants invade homes or businesses in Pottsboro, TX and surrounding areas.
  • Kitchen Ant Control - required when ants are found in food preparation or storage areas.
  • Outdoor Ant Treatment - necessary to eliminate ant colonies around lawns, gardens, or building exteriors.
  • Carpenter Ant Extermination - sought when wood structures show signs of ant activity or damage.
  • Preventive Ant Barrier Services - used to create a barrier against future ant invasions around properties.

Get Ants Extermination Service Quotes

Ants Extermination Service
Ants Extermination Service
Ants Extermination Service

Ants extermination services involve the identification and removal of ant colonies from residential, commercial, or industrial properties. These services typically include thorough inspections to determine the extent of the infestation, followed by targeted treatments to eliminate ants and prevent future invasions. Depending on the severity of the problem, local pest control providers may use a combination of baiting, liquid treatments, or dust applications to effectively control ant populations. The goal is to address the root of the infestation while minimizing the impact on the property and its occupants.

Ant infestations can cause a variety of problems for property owners. Beyond the nuisance of seeing ants crawling across surfaces, they can contaminate food supplies and surfaces, leading to potential health concerns. In some cases, large colonies may cause structural damage by nesting within walls or other hidden areas. Additionally, certain ant species, such as fire ants, pose risks of painful stings or allergic reactions. Pest control services help mitigate these issues by removing the colonies and implementing measures to keep ants from returning.

Ants extermination services are commonly utilized in both residential and commercial properties. Homes, especially those with kitchens, pantries, or outdoor areas, frequently seek pest control to manage ant problems. Commercial establishments such as restaurants, grocery stores, and food processing facilities also rely on these services to maintain hygiene standards and prevent infestations that could disrupt operations. Additionally, property managers and landlords often coordinate with pest control providers to ensure their buildings remain free of ant issues, especially in areas prone to seasonal invasions.

Local pest control professionals offer tailored solutions for various property types, including single-family homes, multi-unit apartment complexes, retail spaces, and office buildings. The specific approach depends on the property’s layout, the severity of the infestation, and the ant species involved. Regular inspections and treatment plans can help maintain a pest-free environment, reducing the likelihood of future problems. Property owners interested in ant extermination services can contact local providers to discuss options suitable for their particular needs.

The overview below groups typical Ants Extermination Service projects into broad ranges so you can see how smaller, mid-sized, and larger jobs often compare in Pottsboro, TX.

In many markets, a large share of routine jobs stays in the lower and middle ranges, while only a smaller percentage of projects moves into the highest bands when the work is more complex or site conditions are harder than average.

Initial Inspection - The cost for an ant inspection typically ranges from $50 to $150, depending on the property size and complexity. Some service providers may charge a flat fee or include it with treatment packages.

Basic Treatment - Standard ant extermination services generally cost between $100 and $300 for a single treatment. Larger infestations or multi-room treatments may increase the price toward the higher end of the range.

Multiple Treatments - For ongoing or severe ant problems requiring multiple visits, costs can range from $200 to $600. Service providers might offer package deals that include follow-up visits for a comprehensive approach.

Preventive Services - Preventive ant control treatments typically cost between $150 and $400 annually. These services aim to reduce future ant activity and may include barrier treatments around the property.

Actual totals will depend on details like access to the work area, the scope of the project, and the materials selected, so use these as general starting points rather than exact figures.

Get an Ants Extermination Service Quote

Ants Extermination services connect homeowners with local pest control providers experienced in eliminating ant infestations efficiently and safely.

Residential Ant Control solutions are available for homeowners seeking professional assistance to remove ants from their living spaces and prevent future invasions.

Commercial Ant Extermination services help business owners address ant problems that could disrupt operations and compromise hygiene standards.

Eco-friendly Ant Treatments options are offered by local providers for those interested in environmentally conscious pest control solutions.

Emergency Ant Infestation Services connect users with quick-response providers for urgent ant problems requiring immediate attention.

Preventive Ant Management services focus on strategies to reduce the likelihood of future ant invasions through targeted treatments and inspections.

Ants Extermination Service

When selecting a pest control professional for ant extermination, it’s important to consider their experience in handling ant infestations specific to the local area. Experienced providers often have a deeper understanding of common ant species, effective treatment methods, and local environmental factors that can influence pest behavior. By reviewing the background and history of local service providers, homeowners can gain insight into their familiarity with regional challenges and their ability to deliver effective solutions.

Clear communication and well-defined expectations are essential when working with a pest control contractor. Reputable local pros typically provide detailed information about their treatment approaches, what homeowners can expect during and after the service, and any necessary follow-up procedures. Establishing transparent communication helps ensure that both parties are aligned on the scope of work and can address any questions or concerns throughout the process.

Reputable references and reviews serve as valuable indicators of a service provider’s reliability and quality of work. Homeowners are encouraged to seek out local pros with positive feedback from previous clients in the community. Verifying references and reading reviews can offer insights into the provider’s professionalism, responsiveness, and effectiveness. Since this platform introduces local options rather than performing the work, it’s recommended to contact multiple providers to compare their experience, communication style, and reputation before making a decision.

Get an Ants Extermination Service Quote

Property owners in Pottsboro, TX use Ants Extermination Service services for practical projects around their homes and businesses. The sections below highlight everyday jobs and straightforward project options.

Ants Extermination Service
Ants Extermination Service

Ants extermination services are often sought by property owners in Pottsboro, TX when they notice persistent ant activity around their homes or businesses. Common situations include spotting ant trails in kitchens, pantries, or along exterior walls, which can indicate a larger infestation. Property owners may turn to local professionals to identify the source of the problem and implement effective treatment methods to eliminate ants and prevent future invasions.

In addition to visible ant colonies, property owners might request extermination services after experiencing recurring ant issues despite previous attempts at removal. Factors such as seasonal changes, nearby vegetation, or food sources can attract ants, making professional intervention necessary. Local pest control providers can assess the situation, recommend appropriate solutions, and help maintain a pest-free environment.

Get an Ants Extermination Service Quote

How do ant extermination services work? Ant extermination services typically involve identifying the ant species, locating their nests, and applying targeted treatments to eliminate colonies and prevent future infestations.

Are ant extermination treatments safe for pets and children? Many ant control methods are designed to be safe around pets and children, but it is recommended to discuss safety concerns with local service providers before treatment.

How long does an ant extermination treatment take? The duration of treatment varies depending on the extent of the infestation and the methods used, but most services aim to resolve ant problems efficiently.

Will I need multiple treatments to control ants? Some ant infestations may require more than one treatment to fully eliminate colonies and prevent re-infestation, as advised by local pest control professionals.

How can I prevent future ant problems? Preventative measures include maintaining cleanliness, sealing entry points, and consulting with local pros about ongoing pest management strategies.

Ants Identification and Inspection - Local pest control providers can assess your property to identify ant species and determine the extent of the infestation.

Ant Extermination Treatments - Experts utilize targeted methods to eliminate ant colonies and reduce their presence around your home or business.

Preventive Ant Control Strategies - Service providers can recommend and implement measures to prevent future ant invasions and protect your property.

Ongoing Ant Management Plans - Professionals offer maintenance plans to monitor and control ant populations over time, ensuring long-term results.

Ants Extermination Service

Considering Ants Extermination Service for a property in Pottsboro, TX? The sections above highlight common project types, practical options, and details that often shape the scope of work.

When you are ready, use the quote form to share a few details about your project. Local pros can review the basics and respond with options that match what you have in mind.

Get an Ants Extermination Service Quote

Ants Extermination Quotes

Our Trusted Partners
Cantu Pest Control
Hawx Pest Control